Странные религиозные артефакты (17 фото)
Тема сейчас опасная, ввиду нового закона об оскорблении чувств верующих. Но во всяком случае, для меня нижеперечисленные вещи кажутся как минимум странными.
Наиболее спорным аспектом многих религий является история сохранения «реликвий», или прямо говоря образцов взятых из тел святых. Вот некоторые из таких необычных примеров объектов для почитания.
Рука иезуитского миссионера 16-го века, святого Франциска Ксавье (хранится в Иль Джезу в Риме)
Его правая рука миссионера была отрезана от его мумифицированного трупа. Отрезали её в Старом Гоа, Индия в 1614 году и сейчас она хранится в Риме.
Оказывается, что он настолько священный, что примеру правой руке последовала левая, которая сейчас, как говорят, находится в Японии.
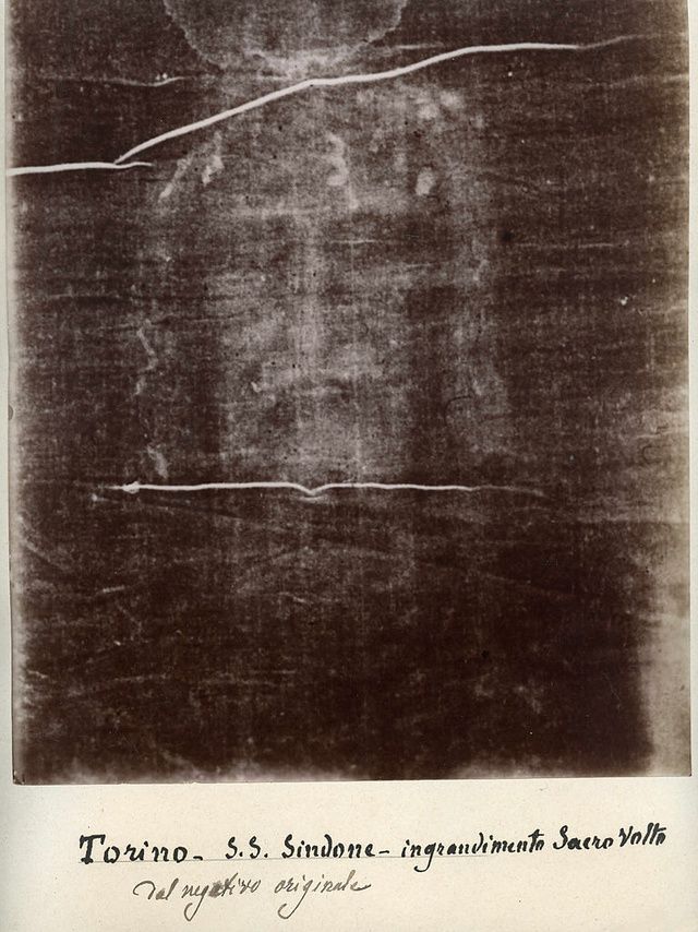
Туринская плащаница с таинственным изображением Иисуса Христа (хранится в Кафедральном соборе святого Иоанна Крестителя, Турин, Италия)
Сердце Святого Камилля де Леллиса, основателя ордена Камилианцев в конце 16 века
Реликварий ног Св. Блейза, епископ жившего в начале 4-го века
Кровь святого Януария, епископа Неаполя около 300 г. н.э., в настоящее время покровителя города (хранится в соборе Неаполя, в Королевской часовне сокровищ святого Януария, Неаполь, Италия)
Кровь чудесным образом повторно становится жидкой три раза в год. Если этого не происходит в определенный день, происходят плохие вещи. Если это не происходит, то происходит землетрясение, или извержение Везувия.
Голова святителя Иоанна Златоуста, архиепископа Константинопольского конца 4-го и начала 5-го века
Так называемое "Священное право" - мумифицированный правый кулак первого короля Венгрии. Период правления между 1000 и 1038 (хранится в базилике короля святого Стефана в Будапеште)
Священная реликвия зуба Будды (Канди, Шри-Ланка)
После смерти Будды в 543 году до н.э. и последовавшего кремирования, его левый клык был восстановлен.
След и часть бороды пророка Мухаммеда. Хранится в Турции
Ткани итальянского священника 16-го века Филиппа Нери, "Апостол Рима".
Благословенный язык и челюсти святого Антония Падуанского
Через 32 года после смерти Антония Падуанского, в 1263 году, его прах было решено перенести в новую базилику. Когда склеп был открыт, священники нашли только язык и челюсти.
Святая Крайняя плоть, продукт обрезания Иисуса
В средние века некоторые церкви утверждали, что у них есть крайняя плоть Иисуса, иногда в одно и то же время. Последнее упоминание о Святой крайней плоти относится к 1983 году. Именно в этом году её выкрали неизвестные. О судьбе Святой крайней плоти до сих пор ничего неизвестно.
Наиболее спорным аспектом многих религий является история сохранения «реликвий», или прямо говоря образцов взятых из тел святых. Вот некоторые из таких необычных примеров объектов для почитания.
Рука иезуитского миссионера 16-го века, святого Франциска Ксавье (хранится в Иль Джезу в Риме)


Его правая рука миссионера была отрезана от его мумифицированного трупа. Отрезали её в Старом Гоа, Индия в 1614 году и сейчас она хранится в Риме.
Оказывается, что он настолько священный, что примеру правой руке последовала левая, которая сейчас, как говорят, находится в Японии.
Туринская плащаница с таинственным изображением Иисуса Христа (хранится в Кафедральном соборе святого Иоанна Крестителя, Турин, Италия)


Сердце Святого Камилля де Леллиса, основателя ордена Камилианцев в конце 16 века


Реликварий ног Св. Блейза, епископ жившего в начале 4-го века

Кровь святого Януария, епископа Неаполя около 300 г. н.э., в настоящее время покровителя города (хранится в соборе Неаполя, в Королевской часовне сокровищ святого Януария, Неаполь, Италия)


Кровь чудесным образом повторно становится жидкой три раза в год. Если этого не происходит в определенный день, происходят плохие вещи. Если это не происходит, то происходит землетрясение, или извержение Везувия.
Голова святителя Иоанна Златоуста, архиепископа Константинопольского конца 4-го и начала 5-го века

Так называемое "Священное право" - мумифицированный правый кулак первого короля Венгрии. Период правления между 1000 и 1038 (хранится в базилике короля святого Стефана в Будапеште)


Священная реликвия зуба Будды (Канди, Шри-Ланка)

После смерти Будды в 543 году до н.э. и последовавшего кремирования, его левый клык был восстановлен.
След и часть бороды пророка Мухаммеда. Хранится в Турции

Ткани итальянского священника 16-го века Филиппа Нери, "Апостол Рима".

Благословенный язык и челюсти святого Антония Падуанского

Через 32 года после смерти Антония Падуанского, в 1263 году, его прах было решено перенести в новую базилику. Когда склеп был открыт, священники нашли только язык и челюсти.
Святая Крайняя плоть, продукт обрезания Иисуса

В средние века некоторые церкви утверждали, что у них есть крайняя плоть Иисуса, иногда в одно и то же время. Последнее упоминание о Святой крайней плоти относится к 1983 году. Именно в этом году её выкрали неизвестные. О судьбе Святой крайней плоти до сих пор ничего неизвестно.
Комментариев 7
Посетители, находящиеся в группе Гости, не могут оставлять комментарии к данной публикации.