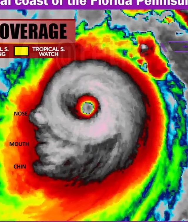
В интернете обсуждают «лицо» урагана Милтон, напоминающее зловещий образ демона
Ураган Милтон, который обрушился на Флориду уже неоднократно назвали одним из самых мощных и разрушительных за долгие годы. А еще в Сети успели обсудить, что у этого стихийного ненастья есть... "лицо". И оно напоминает зловещий лик демона! М-да... пугающее совпадение.
Посетители, находящиеся в группе Гости, не могут оставлять комментарии к данной публикации.